设备简介:
悬挂器载荷试验台用于悬挂器载荷试验,主要有液压系统、拉压油缸、力传感器、加载框架及管路系统组成。
主要技术参数:
☼ 水压试验压力:105MPA;
☼ 环空压力和主通道压力,2路独立采集和控制;
☼ 液压压力:25MPa;
☼ 液压缸行程:300mm;
☼ 最大设计载荷:5000KN;
☼ 拉压力传感器:6000KN;
☼ 开档尺寸:宽1100mm×高1600mm(根据提供图纸的最大尺寸)
试验程序:
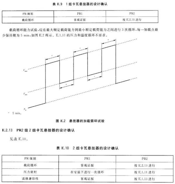
载荷试验(GB/T 22513-2013,附录E1.12载荷和机械循环,E2悬挂器载荷试验)

